The Highways of North Carolina
U.S. 258 
< 221 | Home | 258 Bus | 264 >
Photo: US 258 at the Virginia state line (Adam Froehlig)
US 258
U.S. 258  157 miles
The Road: Begins at US 17 Business Jacksonville (Onslow County) and ends at the Virginia State Line above Murfreesboro (Hertford County).
Nationally US 258 runs from Jacksonville to Fort Mornoe, VA
Towns and Attractions: Onslow Co.: Jacksonville, Richlands  
Jones Co.: None 
Lenoir Co.: Kinston  
Greene Co.: Snow Hill  
Pitt Co.: Farmville, Fountain  
Edgecombe Co.: Tarboro, Princeville  
Halifax Co.: Scotland Neck  
Northampton Co.: Rich Square, Woodland  
Hertford Co.: M urfreesboro  
History: US 258 appeared in 1932, running from US 17/NC 24-30 Jacksonville north via Kinston, Farmville and Tarboro to end at US 158/NC 48 Murfreesboro. US 258 was paired with NC 24 from Jacksonville to Richlands; NC 121 to Kinston; NC 12 from Kinston to Murfreesboro.
In late 1934, NC 12 and NC 121 were removed from their concurrencies with US 258.
Between 1939-44, US 258 was striaghtened out north of the Roanoke River, bypassing a looping alignment through the community of Polenta which has long ago vanished.
In 1941, US 258 was extended north replacing US 158 into Virginia.

1940 Official
US 158 into Virginia
1940 Official
1942 Gen Draft
US 258 into Virginia
1942 Gen Draft

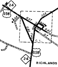
Between 1945-49, US 258 bypassed Richlands, leaving behind SR 1003 Wilmington St and SR 1306 Hargett St.

1944 Onslow County
US 258 through Richlands
1944 Onslow County
1949 Onslow County
US 258 bypasses Richlands
1949 Onslow County

Also between 1945-49, US 258 was removed from Hart St in Murfreesboro to the new Chowan River crossing via Virginia St.
Between 1954-57, US 258 was rerouted in Snow Hill to its current 2nd St routing leaving behind SR 1422 Fourth St/Third St and a little US 13 (now just NC 903) on Greene St.

1953 Greene County
US 258 using Third/Fourth Sts
1953 Greene County
1962 Greene County
US 258 moves to Second St
1962 Greene County

Also between 1954-57, US 258 was given its more direct routing from Fountain to Crisp, leaving behind SR 1102 Otter Creek Church Rd.

1953 Edgecombe County
US 258 original bend
1953 Edgecombe County
1957 Edgecombe County
US 258 straightened out
1957 Edgecombe County

In 1961, US 258 was given its current routing from Snow Hill to west of Kinston (addition to NC 58) then east along US 70 to bypass Kinston. The old route into downtown Kinston became NC 91 (now NC 58) and the eastern third of US 258 Business.

1958 Official
US 258 to central Kinston
1958 Official
1961 Official
US 258 rerouted around Kinston
1961 Official

In 1968, US 258 was routed away from central Tarboro onto the new US 64 Bypass across the Tar River to Princeville as it runs today. The old route became SR 1289 St. James St and US 64 Business (now NC 33).

1963 Edgecombe County map
US 258 through Tarboro
1963 Edgecombe County
1968 Edgecombe County
US 258 bypasses Tarboro
1968 Edgecombe County

In 1996, US 258 was removed from most of Murfreesboro by using the US 158 bypass and replacing part of NC 11. The old route remained part of US 158 Business.

1944 Hertford County
US 258 on Hart St
1944 Hertford County
1949 Hertford County
US 258 on Virginia St
1949 Hertford County
2012 Hertford County
US 258 removed from Main St
2012 Hertford County

In Nov 2009 (NCDOT), US 258 was given its bypass of Farmville by following US 264-A east to SR 1221 Wesley Church Rd, then replace SR 1221 north to US 264 freeway, then US 264 west back to original US 258. The old route through Farmville became US 258 Business. NOte that SR 1221 was part of US 264 for a while while the freeway north of Farmville was under construction.

1968 Pitt County
US 258 original Farmville route
1968 Pitt County
2012 Pitt County
US 258 bypasses Farmville
2012 Pitt County

Comments: US 258 is not a major thoroughfare in North Carolina. US 17 is far faster to run from Jacksonville to the Tidewater Virginia area.
Only a relative handful of miles of US 258 are multilaned - all as duplexes with other routes.


Last Update: 15 February 2013

Previous: U.S. 221  |  Next: U.S. 258 Bus | U.S. 264
Top  |  NCRoads.com Home ------------------------------------------------